
Vérifiez disponibilitéAjouter aux listes:✕

Elle se trouve à moins de 7 minutes à pied de la gare. La superficie terrestre est de 1151 mètres carrés (registre officiel). Idéal pour les terrains d’appartements. Demandes : 0820-22-5020 / info@t-rexfs.co.jp.駅から徒歩7分圏内に立地しています。土地面積は1151㎡(公簿)です。アパート用地に最適。お問い合わせ:0820-22-5020 / info@t-rexfs.co.jp。
| Terrain :土地面積 | 1151 m² |
|---|

Terrain à vendre dans la région de Yanai City. Superficie de terrain de 428 mètres carrés (registre public), terrain résidentiel. Conditions de construction : Nakamura House avec conditions de construction, maison d’un étage requise. Le prix unitaire est de 70 000 yens. Type de transaction : médiation générale. Informations mises à jour : 21 décembre 2025.柳井市エリアの売地。土地面積428㎡(公簿)、住宅用地。建築条件:ナカムラハウス建築条件付、平家建て必須。坪単価7万円。取引態様:一般媒介。情報更新日:2025年12月21日。
| Terrain :土地面積 | 428 m² |
|---|

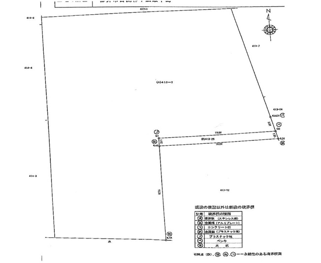
Ce terrain est recommandé à ceux qui cherchent un terrain à vendre. La superficie terrestre est de 435 mètres carrés (registre officiel), ce qui est le meilleur. Pour réduire au maximum le fardeau financier, maintenez le prix d’achat du terrain bas. C’est 4,2 millions de yens. Si vous voulez acheter un terrain, que diriez-vous de la zone Sanyo Main Line Yanai ? Pour toute demande de renseignements à T-Rex, veuillez nous contacter au 0820-22-5020 ou info@t-rexfs.co.jp.売地をお探しの方におすすめの土地です。土地面積は435㎡(公簿)で一押しです。少しでも金銭的な負担を減らすために、土地の購入価格は安く抑えましょう。こちらは420万円になります。土地を買うなら山陽本線柳井周辺はいかがですか。ティーレックスまでのお問い合わせは0820-22-5020または、info@t-rexfs.co.jpまでお待ちしております。
| Terrain :土地面積 | 435 m² |
|---|

Que diriez-vous de « Yanai Shinjo Hayashi no Mae » ? La superficie terrestre est de 461,56 mètres carrés (registre officiel). Prix : 5,97 millions de yens. C’est un terrain recommandé à vendre si vous envisagez d’en acheter. Pour plus d’informations et de questions, veuillez contacter T-Rex Co., Ltd. au 0820-22-5020 / info@t-rexfs.co.jp.「柳井・新庄林ノ前」はいかがでしょうか。土地面積は461.56㎡(公簿)です。価格597万円。土地購入を考えている方にオススメの売地です。詳細・お問い合わせは株式会社ティーレックス 0820-22-5020 / info@t-rexfs.co.jp まで。
| Terrain :土地面積 | 462 m² |
|---|

Les caractéristiques des routes à double sens sont ensoleillées et aérées. Que diriez-vous de cette terre de 6,8 millions de yens, populaire auprès d’un large public ? Lors de l’achat d’un terrain, veuillez nous consulter concernant la vente du terrain. La superficie terrestre est de 561,8 mètres carrés (mesure réelle). Commençons à chercher des terrains dans la zone de Yanai, sur la ligne principale de Sanyo. N’hésitez pas à contacter Teerex au 0820-22-5020 ou info@t-rexfs.co.jp.日当たりが良く風通しもいいのが両面道路の特徴です。幅広い方にご好評の、680万円のこちらの土地はいかがでしょうか。土地購入の際、売地のことなら当社にご相談ください。土地面積は561.8㎡(実測)でございます。山陽本線柳井エリアで土地探しを始めましょう。0820-22-5020、またはinfo@t-rexfs.co.jpからお気軽にティーレックスまでお問い合わせください。
| Terrain :土地面積 | 562 m² |
|---|

Informations détaillées sur Yanai et Kokaisaku ! Si vous envisagez d’acheter un terrain, ce terrain à vendre est recommandé car il offre un bon environnement ! C’est à 13 minutes à pied de la gare ! La superficie terrestre est de 384,99 mètres carrés (relevé officiel) ! Si vous souhaitez acheter un terrain à Yanai City, ce qui est très pratique, laissez cela à T-Rex ! Nous attendons (^o^) votre demande au 0820-22-5020 ou info@t-rexfs.co.jp柳井・古開作の詳しい情報!土地購入をお考えの方、コチラの売地は環境も良くておすすめです!駅まで徒歩13分でアクセス可能です!土地面積は384.99㎡(公簿)です!利便性の高い柳井市で土地を買うなら、ティーレックスにお任せください!0820-22-5020、またはinfo@t-rexfs.co.jpまでお問い合わせをお待ちしております(^o^)
| Terrain :土地面積 | 384 m² |
|---|
Toutes les akiya au même endroit
Trouvez la maison vacante parfaite au Japon!

Yamaguchi Ken, situé à l'extrémité ouest de Honshu, est une préfecture qui offre un cadre de vie unique et paisible pour ceux qui envisagent de s'installer au Japon. Connue pour ses paysages pittoresques, ses montagnes verdoyantes et ses côtes spectaculaires, Yamaguchi se distingue par sa qualité de vie élevée et son atmosphère conviviale. Contrairement aux grandes métropoles comme Tokyo ou Osaka, la préfecture présente un coût de la vie nettement inférieur, ce qui en fait un lieu idéal pour les familles cherchant à acquérir une maison abordable. Les prix de l'immobilier à Yamaguchi sont généralement plus accessibles, permettant ainsi d'investir dans des logements spacieux et bien situés, souvent avec des espaces extérieurs.
En outre, Yamaguchi Ken est riche en culture et en histoire, avec des sites touristiques emblématiques tels que le Sanctuaire de Kintai, les magnifiques jardins de Ruriko-ji et la baie de Shimonoseki. La région est également bien reliée grâce à son réseau de transport, facilitant l'accès aux grandes villes. Par ailleurs, la communauté locale est ouverte et accueillante, ce qui aide les expatriés à s'intégrer rapidement. Pour les familles à la recherche d’un cadre de vie serein, tout en ayant le confort de la vie moderne, Yamaguchi Ken est un choix idéal.
AllAkiyas.com met à votre disposition des milliers d'annonces de biens immobiliers japonais à vendre ou à louer. Notre vaste sélection comprend des maisons individuelles, des maisons de ville, des appartements, des locaux commerciaux et des terrains vagues. Nous accordons une attention particulière aux maisons vacantes traditionnelles, appelées akiya (ou kominka en zone rurale), et aux maisons de ville traditionnelles, ou machiya. Vous pouvez facilement rechercher des biens dans toutes les préfectures du Japon selon vos critères spécifiques.